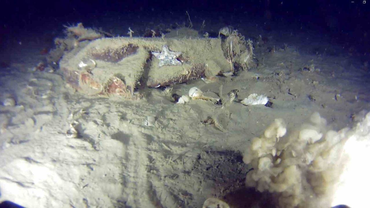
Türk Hava Yolları'na ait ve 30 Ocak 1975'te Marmara Denizi'ne düşen 'Bursa' adlı yolcu uçağının enkazına ait olabileceği değerlendirilen yeni parçalar bulundu. Çalışmalar çerçevesinde 5. dalış gerçekleştirilirken, uçağın gövdesine ait olduğu değerlendirilen metal parçalar su altından çekilen görüntülere yansıdı.

30 Ocak 1975 tarihinde 42 kişiye mezar olan ve yarım asırdır ulaşılamayan Türk Hava Yolları'na (THY) ait 'Bursa' isimli F-28 uçağının enkazını arama çalışmaları sürüyor. Uçağın düştüğü dönemdeki teknik imkanların yetersizliği nedeniyle uçak bulunamamıştı. Deniz tabanındaki enkaz bütünlüğüne ulaşılamamış, çalışmalar sınırlı ölçekte kalmıştı. 51 yıl önce düşen uçağın enkazının bulunması çalışmaları gönüllüler tarafından yeniden yapıldı. Arama faaliyetleri kapsamında bölge tekrar taranmaya başlandı.

'Sonar ve dip taraması gerçekleştirildi'

Sosyal medya üzerinden yürüttüğü çalışmalarla bilinen Nedim Kuru ve ekibi, Büyükçekmece ile Ambarlı açıklarına 5'inci kez daldı. Su altı görüntüleme robotu ve sonar cihazlarıyla yaklaşık 7 saat süren tarama yapıldı. Çalışmalarda deniz tabanında uçağa ait olabileceği değerlendirilen alüminyum nitelikli parçalar kayıt altına alındı. Nedim Kuru, yürütülen faaliyetlerde enkaz sahasının detaylı biçimde incelendiğini belirterek, elde edilen görüntülerin teknik analiz sürecine alınacağını ifade etti.

Anıt mezar için başvuru yapıldı

İBB, yolu elektrik trafosuyla kapattı; vatandaşlar tepki gösterdi
İBB, yolu elektrik trafosuyla kapattı; vatandaşlar tepki gösterdi
İçeriği Görüntüle

Öte yandan Kuru'nun kazada hayatını kaybedenlerin anısına deniz içerisinde sembolik bir anıt alanı oluşturulması amacıyla İstanbul Valiliğine resmi müracaatta bulunulduğu öğrenildi.

Kaynak: İHA